Maria and Lee
continue their Atlantic dance. Bermuda, your deflector shields are doing a
pretty good job! For those of you who are wondering exactly where Bermuda is
(shhh… don’t tell them you don’t know!... it is that little white dot almost due
west of the eye of Lee (the storm to the right) and southeast of Maria (the
storm to the left)):
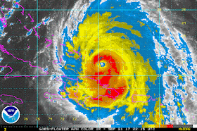
Hurricane Lee
He reached weak
cat 3 intensity today with winds of 115mph (cat 3 range: 111-129mph), which is
no surprise as he looked like a strong cat 2 when I last checked in a couple of
days ago. He is now back to being a very strong cat 2 with winds of 110mph,
central pressure 966mb, which seems like a good call to me:
He is at 31.7N,
57.3W, heading NNW at 7mph and away from Bermuda (the pink dash on the left
side of the he imagery above). He is moving into an area of strong wind shear,
so I expect him to slowly start to get weaker. The track has not changed much,
and he will be heading over to the UK next week, bringing some 'fine' autumn weather with him:
He will be on
the same track (more or less) that Maria will take, but she’ll be about a day
behind him.
Hurricane Maria
Speaking of Maria,
she is currently at 36.8N, 71.5W, heading NE at 7mph, and is now on her way
across the Atlantic. She is also heading to the UK next week. I guess someone should
let them know it will be a stormy start to the week (although at least they won't be hurricanes by the time they get there!):
She is
officially barely a cat 1 storm with winds of 75mph, central pressure 979mb. I
would say she is slightly weaker – a strong Tropical Storm – because there isn’t
any real circulation (vorticity) in the upper troposphere, which means her structure
has weakened. She is in an area of wind shear; you can see this from the clouds
streaming off to the southeast – some look like they are bringing a spot or two
of rain to Bermuda:
Friday onwards should be interesting in the Atlantic... I’ll be back then.
Ciao for now!
J.
-->
Blogs
archived at http://jyotikastorms.blogspot.com/
Twitter @JyovianStorm
-------------------------------
DISCLAIMER: These remarks are just what I think/see regarding tropical storms - not the opinion of any organization I represent. If you are making an evacuation decision, please heed your local emergency management and the National Hurricane Center's official forecast and the National Weather Service announcements. This is not an official forecast. If I "run away, run away" (Monty Python), I'll let you know.
Twitter @JyovianStorm
-------------------------------
DISCLAIMER: These remarks are just what I think/see regarding tropical storms - not the opinion of any organization I represent. If you are making an evacuation decision, please heed your local emergency management and the National Hurricane Center's official forecast and the National Weather Service announcements. This is not an official forecast. If I "run away, run away" (Monty Python), I'll let you know.
















